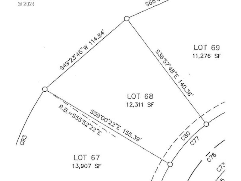
Lot 68 is 12,311 sq ft, sloped and 155' deep in a Brand New 108 Lot McMinnville Subdivision. See picture of lot plat map for dimensions. Lots ranging from 4,500 sq ft to 14,000 sq ft. Bring your own Builder. McMinnville Water and Light Utilities, Oak Ridge Meadows Amenities include a Nature Path, Views of Baker Creek, Wetlands and a Neighborhood Park with play structure. Listing Agent is a Member of Seller.
West on Baker Creek Rd, right on Shadden Dr
Dwelling Type: Land
Subdivision: OAK RIDGE MEADOWS
Year Built: N/A, County: US
West on Baker Creek Rd, right on Shadden Dr
Listing is courtesy of Premier Homes Real Estate
Sign in to your account to continue