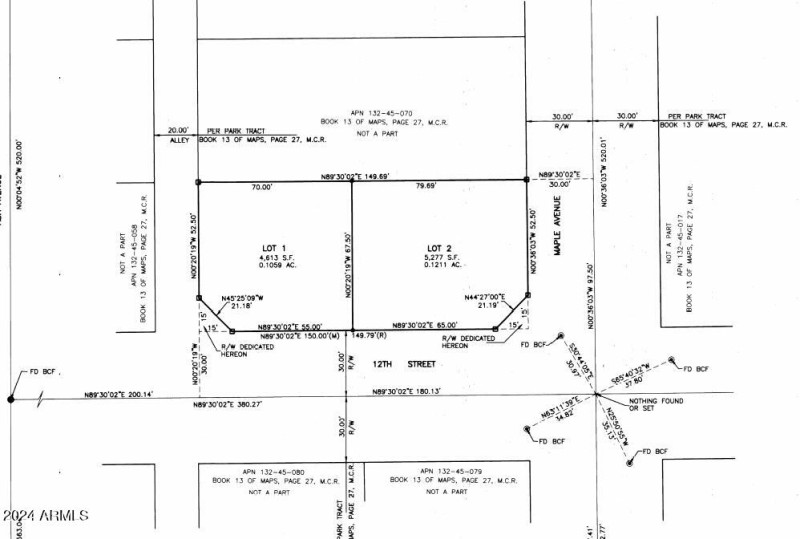
This wonderful lot is the second lot from a lot split where the adjoining lot has already sold. Don't miss the opportunity on one of the best located lots in the highly sought after Maple - Farmer - Ash District of Tempe, that offers significant potential for development or investment. This listing is for the **BACK Lot:** at 4,613 sq ft. which backs to the alley and fronts to Maple Ave. Zoned R-2 with potential to build a home and ADU whether to live in or rent out.
This prime lot is strategically located near Arizona State University, shops, restaurants, and other attractions, making it ideal for investment or personal use. As ASU grows, so does the need for housing in the area. This is an opportunity for very savvy buyers.
West of Mill on 12th street
Dwelling Type: Land
Subdivision: PARK TRACT
Year Built: N/A, County: N/A
West of Mill on 12th street
Listing is courtesy of Compass