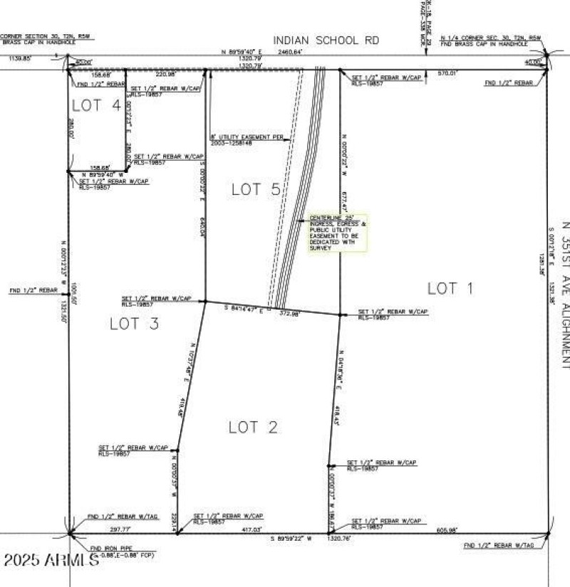
Option 1: Lot 1,2,3,5 total 39-acre for on paved Indian School Road with possible seller carry back with large down
Option 2 : Lot 1 $55,000 per acre 17.12-acre x $55000 = $941,600 on paved Indian School Road no seller carry back
Option 3: Lot 1,2,5 $55000 per acres 28.52-acre x $55000 =$1,568,600 on paved Indian School Road no seller carry back
Endless possibilities await on this 39-acre level, usable property featuring a 3-bedroom, 2-bath home, a private well, and room to expand. A large enclosed hall offers flexible space for gatherings, storage, or future development. An additional covered structure includes the framework for 9 individual rooms, 3 bathrooms, and a large central space—perfect for creating an income-producing venue, group facility, or event center. With a private well and three separate septic systems already in place, this property is ready for your visionwhether residential, commercial, or agricultural.
Ideally located near the future Belmont Master Planned Community and the soon-to-break-ground Desert Studios project, you're just 20 minutes from Buckeye Equestrian Center, 35 minutes to Wickenburg,and within easy reach of Teravalis, Desert Whisper, Tartesso, and more. Enjoy quick access to Interstate 10, MC-85, Loop 202, and Loop 303, plus proximity to the proposed I-11 Freeway, planned to become a major trade corridor linking Canada and Mexico through Arizona boosting regional access, jobs, and economic growth.
Possible seller carryback with a substantial down payment. Don't miss this rare opportunity to secure a property with outstanding potential in a rapidly developing area!
I-10 to 339th Ave, north on 339th Ave to Indian School, South on Indian School to property.
Dwelling Type: Residential
Subdivision: None
Year Built: 2006, County: N/A
I-10 to 339th Ave, north on 339th Ave to Indian School, South on Indian School to property.
Listing is courtesy of Redfin Corporation