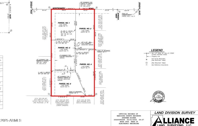
Outstanding opportunity to pick up five lots in a quickly filling in area of Wittmann! Lots of housing going in here, including some homes in the $700K price range right down the street!
This is already surveyed into five lots for your convenience. Please see survey in the photos and documents! This property is in process of permitting a well on it, and once that is done the price will only go up, so you can come and buy it now, or pay full retail for it later! These really are infill at this point, with homes all around, and it is easy to get to Lone Mountain from here. This area has really opened up as of late with many projects going on even west of here, but this is the most attractive setup. Small amount of flood at one edge, but scarcely impactful. Its a good property.
From Lone Mountain and Crozier west to to 229th Avenue, south to Montgomery, West 1.5 Blocks to property atpproximately 230th Avenue alignment just east of of this address: 23009 W. Montgomery
Dwelling Type: Land
Subdivision: also includes 503-38-009Z,503-38-064,503-38-065,503-38-066
Year Built: N/A, County: N/A
From Lone Mountain and Crozier west to to 229th Avenue, south to Montgomery, West 1.5 Blocks to property atpproximately 230th Avenue alignment just east of of this address: 23009 W. Montgomery
Listing is courtesy of Just Land Consultants
Sign in to your account to continue