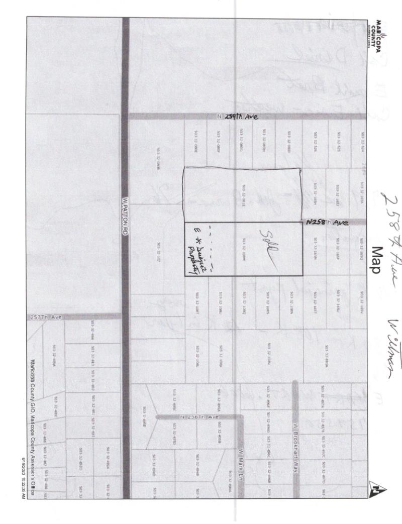
this 6 ac parcel you can purchase one or more acres just south of the custom homes. parcel b has a well so there is a possibility of sharing a well with entire six acres.
electric is there. OWNER WILL CARRY WITH A GOOD DOWN PAYMENT NO QUALIFYING
6 acres adjacent on the east side is sold and will be building a beautiful custom home also has a well may share right next to parcel D
4 ac are only $120 C and D
patton rd to 259th ave trn right go to 2nd rd which is brookhart trn right go about two blocks to well casing on your right which is NE corner of parcel B one ac then walk south approx 250 ft or so to parcel D easements to all four parcels
Dwelling Type: Land
Subdivision: N/A
Year Built: N/A, County: N/A
patton rd to 259th ave trn right go to 2nd rd which is brookhart trn right go about two blocks to well casing on your right which is NE corner of parcel B one ac then walk south approx 250 ft or so to parcel D easements to all four parcels
Listing is courtesy of West USA Realty