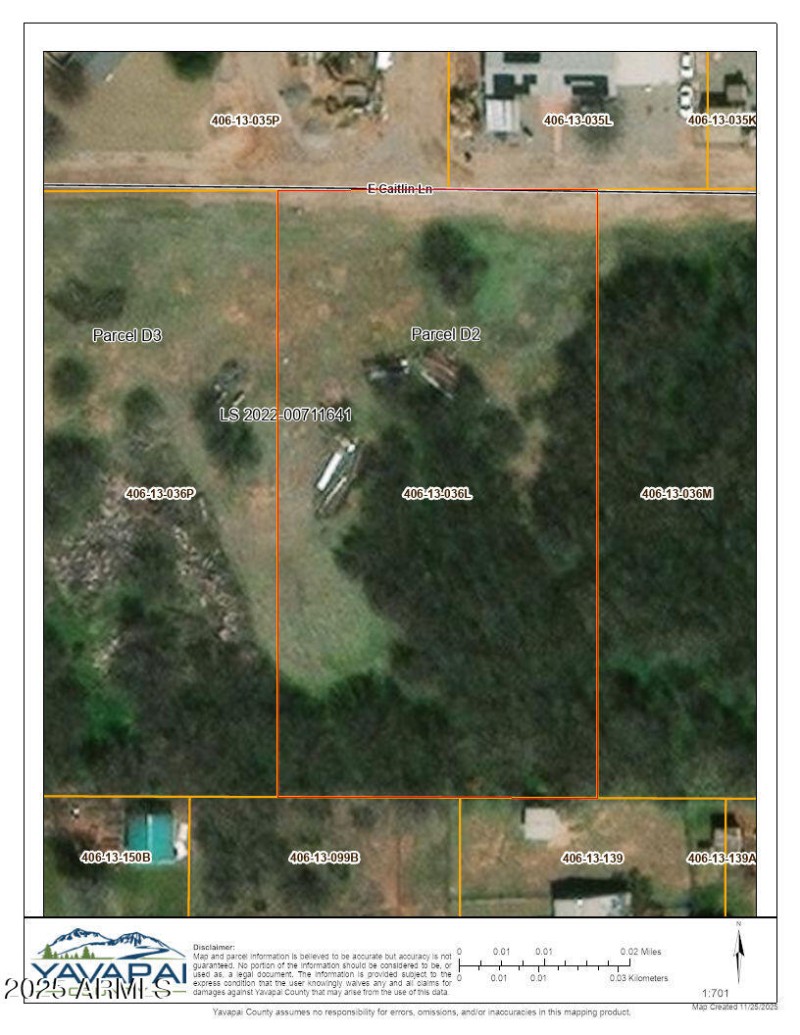
Sr Hwy 89A east of Verde River bridge, right on Zalesky Road, follow Zalesky around 2 corners to right on S Thompson Road, right on Caitlin Lane, to second parcel on left @ sign.
Dwelling Type: Land
Subdivision: N/A
Year Built: N/A, County: N/A
Sr Hwy 89A east of Verde River bridge, right on Zalesky Road, follow Zalesky around 2 corners to right on S Thompson Road, right on Caitlin Lane, to second parcel on left @ sign.
Listing is courtesy of RealtyOneGroup Mountain Desert
Sign in to your account to continue