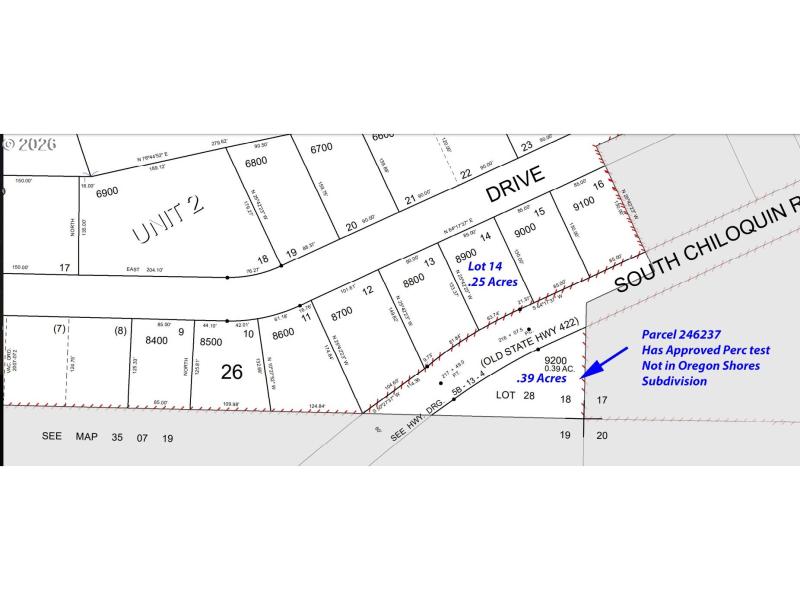
Very attractive triangular-shaped corner parcel. Has large pine tree. Well needed, septic needed. Old approved perk on file at the county per the seller. Power and phone on the road and close by. Nice mountain view lot close to Agency Lake, golfing, boating, and other recreational activities. Great parcel on paved road for modular or stick-framed home. Has a previous expired perc on file with the county.
Cloutier
Dwelling Type: Land
Subdivision: N/A
Year Built: N/A, County: US
Cloutier
Listing is courtesy of Cascade Land and Homes LLC
Sign in to your account to continue