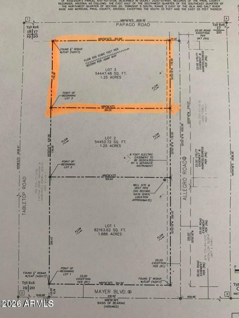
: Lot 3 is a Beautiful 1.25 acre that faces Allegro St. Custom homes and Ranches are within sight. Mayer Blvd is County Maintained and intersects Allegro Rd. This Lot is ready for construction. You can build a Custom Home or install a Manufactured Home. This is horse property and has amazing Mountain Views! Major Planned Community by Ashton Woods & Starlight Homes and others are approx. 5 miles away. Electricity is approximately 350 ft away and Water can be metered from the main lot. Property is 5 minutes from Dollar General, Rob's Convenience & Farmers Convenience Store/Restaurant as well as close to Harrah's Casino and 15 mins from Maricopa's downtown.
Go South on the 347 to Papago St, make right, go West, Papago turns into Warren. Go South on Warren to Val Vista, go right. Go West on Val Vista & turns into Mayer. Go right on Allegro to lot.
Dwelling Type: Land
Subdivision: A PORTION OF THE EAST HALF OF THE SOUTHWEST QUARTE
Year Built: N/A, County: N/A
Go South on the 347 to Papago St, make right, go West, Papago turns into Warren. Go South on Warren to Val Vista, go right. Go West on Val Vista & turns into Mayer. Go right on Allegro to lot.
Listing is courtesy of The Maricopa Real Estate Co
Sign in to your account to continue