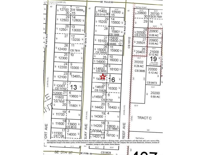
Raw land available to build your sweet beach retreat. This lot is in the quiet and lush Eagle Point area, and is just east of Hwy 101. The property is raw & treed and has water, sewer, and power at the street. Could possibly put 2 tiny homes on this lot.Buyer to do due diligence.
HWY 101 TO SE 3RD ST, EAST TO SE QUAY. N/T 410 SE QUAY (north of)
Dwelling Type: Land
Subdivision: EAGLE POINT
Year Built: N/A, County: US
HWY 101 TO SE 3RD ST, EAST TO SE QUAY. N/T 410 SE QUAY (north of)
Listing is courtesy of Vantage Point Properties Inc
Sign in to your account to continue