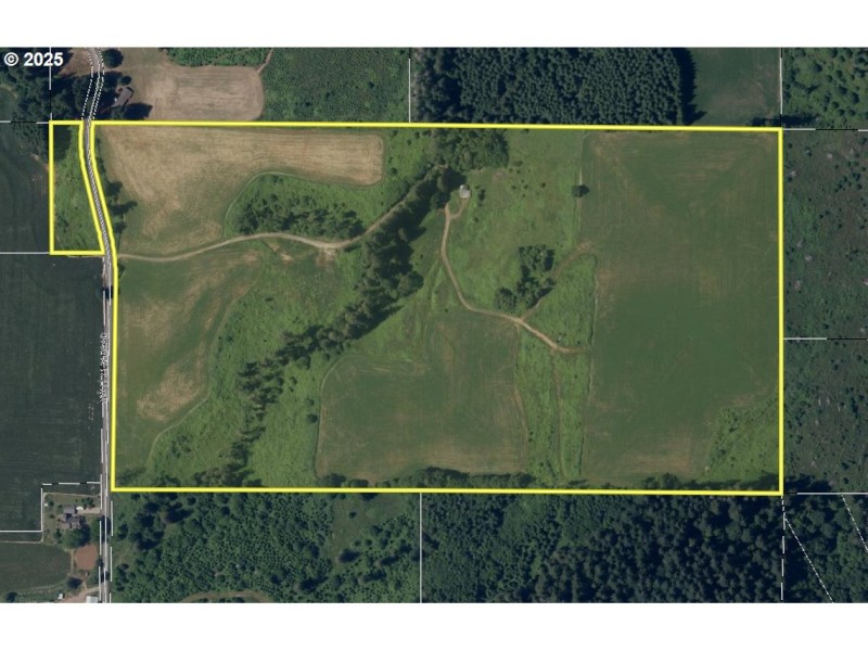
Picturesque Valley View property with great potential for dream-home location. Impressive 75-acre parcel, 40 acres of tillable farm ground currently in annual crop lease and 30 acres of reforested land. Remaining land includes original home site (of little or no value) should guarantee Type I or Type II Replacement Dwelling Permit. Buyer to do due diligence. Come by and take a leisurely hike to pick your favorite home view-site.
Dairy Creek or Old Pumpkin Ridge Rd/
Dwelling Type: Residential
Subdivision: N/A
Year Built: 1940, County: US
Dairy Creek or Old Pumpkin Ridge Rd/
Listing is courtesy of Tri-Star Properties, Inc.
Sign in to your account to continue