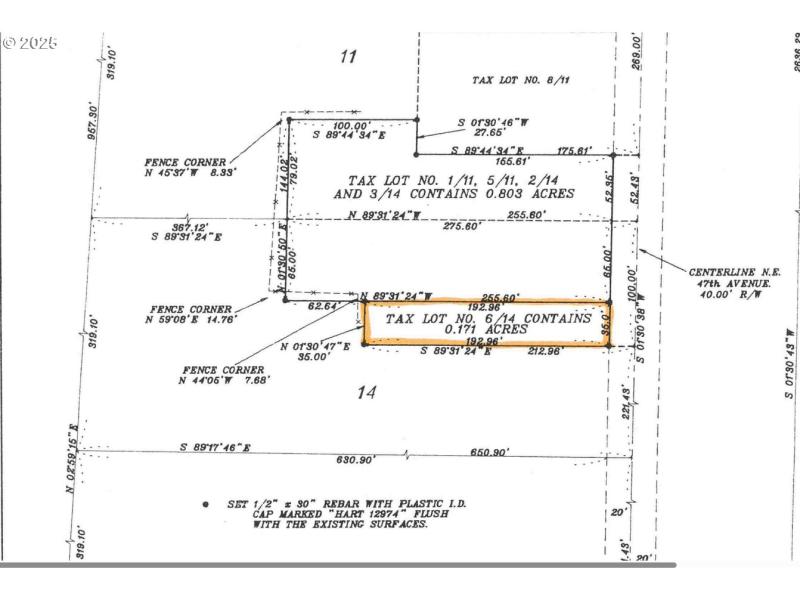
Generously sized lot featuring paved driveway parking, sidewalk access, and Light Industrial zoning. Located on a public street with a center turn lane for smooth access in and out. Electrical transformer box on property, water is connected, sewer available at street. Buyer to verify. Convenient location perfect for a shop or other light industrial uses.
NE 78th Street, south on NE 47th Ave, or NE Minnehaha Street, north on NE 47th Ave.
Dwelling Type: Land
Subdivision: N/A
Year Built: N/A, County: US
NE 78th Street, south on NE 47th Ave, or NE Minnehaha Street, north on NE 47th Ave.
Listing is courtesy of Premiere Property Group, LLC
Sign in to your account to continue