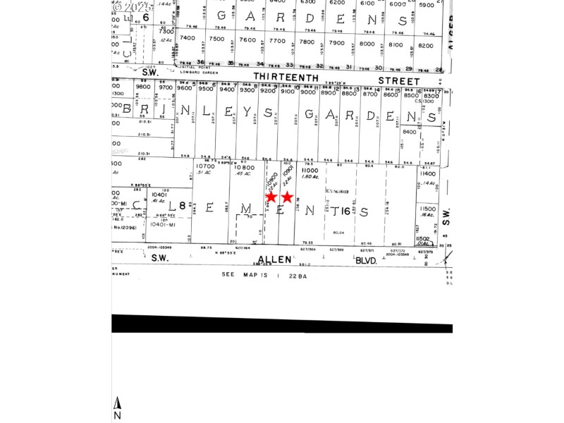
PRIME MIDDLE HOUSING DEVELOPMENT OPPORTUNITY IN BEAVERTON! Exceptional 0.44-acre development site with completed pre-application approval for 14 units (12 townhouses + 1 duplex) on two adjoining lots at 11775 & 11825 SW Allen Boulevard. This strategically positioned property in Beaverton's progressive RMA zoning district offers immediate development potential with existing tenant-occupied residence providing rental income during planning phases. City pre-application conference completed identifies clear pathway to development through streamlined middle housing approval process. All major utilities available in Allen Boulevard including 16" water, 10" sanitary sewer, and 24" storm drainage. Beaverton's elimination of minimum parking requirements and Type 1 review process for middle housing creates exceptional development economics at 31 units per acre density.RMA zoning allows diverse middle housing types including townhouses, duplexes, triplexes, quadplexes, and multi-dwelling structures providing flexibility to optimize market response. Prime arterial frontage on SW Allen Boulevard ensures excellent visibility and accessibility in established neighborhood with mature infrastructure and full urban services.Due diligence required. Buyers must independently verify all zoning, development potential, and regulatory requirements. Development approval subject to formal application process and code compliance.
Hwy 217; West on Allen Blvd, property on the right
Dwelling Type: Land
Subdivision: VOSE
Year Built: N/A, County: US
Hwy 217; West on Allen Blvd, property on the right
Listing is courtesy of JMG - Jason Mitchell Group
Sign in to your account to continue