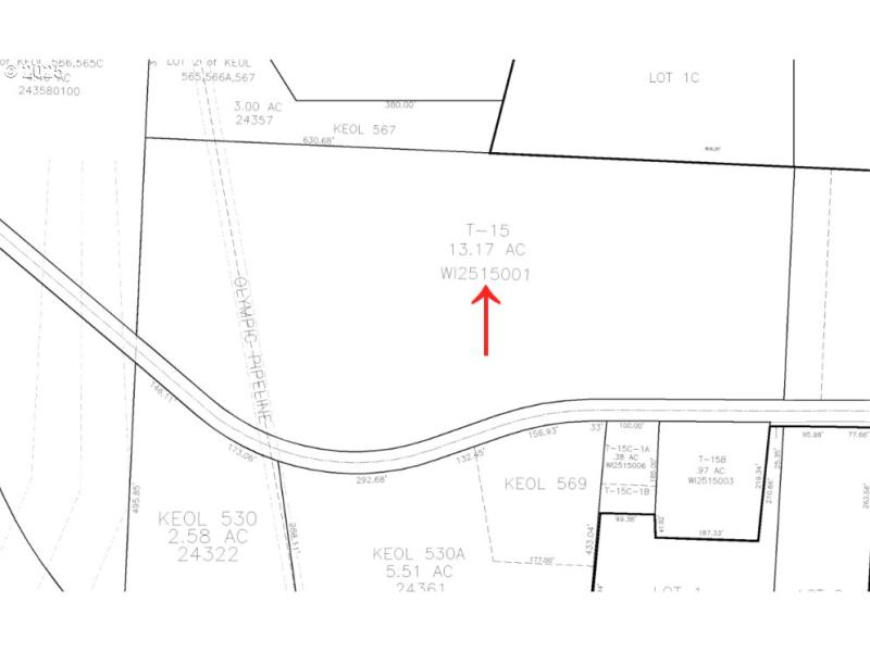
Discover 13 acres of peaceful Cowlitz Valley beauty — open pastureland framed by soft rolling hills and stunning evening skies. As the sun sets, the entire valley glows in gold and lavender, creating a serene backdrop for your future home. The property includes an existing home site with foundation and utilities already in place, offering a cost-saving head start compared to building from scratch. While the current structure adds little value, it provides a footprint for your remodel or rebuild plans. Located within the 100-year floodplain, buyers should confirm requirements with the county for construction or elevation. This is a rare opportunity to own a large, level piece of valley land with endless views, privacy, and the promise of a truly beautiful home setting.
i-5 to Kelso Exit East on Allen
Dwelling Type: Residential
Subdivision: N/A
Year Built: 1930, County: US
i-5 to Kelso Exit East on Allen
Listing is courtesy of Kelly Right Real Estate Vancouver