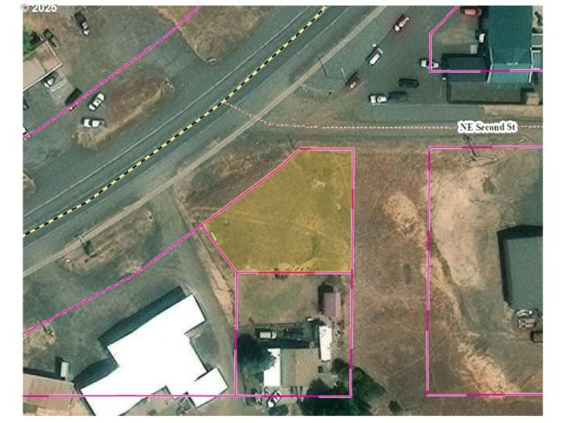
Close to Highway 97 and downtown Goldendale is this .25 acre, mixed-use lot. It is conveniently located and zoned for a variety of potential uses. Buyer to contact city/county planning departments to verify intended uses. Get it before it's gone!
I-97, Left on E Broadway(Bickleton Hwy), Lot on Left.
Dwelling Type: Land
Subdivision: N/A
Year Built: N/A, County: US
I-97, Left on E Broadway(Bickleton Hwy), Lot on Left.
Listing is courtesy of Copper West Real Estate
Sign in to your account to continue