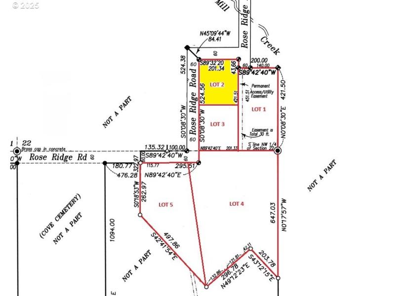
New revisions to the Rose Meadow subdivision have resulted in new, larger view lots now available in Cove. Lot 2 is approximately 1.07 acres with city water in the street. Amazing views of the mountains and forest. This beautiful home site is dividable. Offers will be subject to the revisions to the existing minor partition plat, and DEQ septic approval by the seller. The lot lines and acreage size are approximate.
Mill Creek Lane to Rose Ridge Road
Dwelling Type: Land
Subdivision: N/A
Year Built: N/A, County: US
Mill Creek Lane to Rose Ridge Road
Listing is courtesy of Blue Summit Realty Group