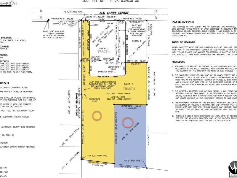
Awesome parcel of open land in Garden Home location. Small acreage for that estate home nestled minutes from Downtown Portland, the westside, and Vermont Hills/Multnomah Village! This sale includes Tax Lot #1300 which has been confirmed as a legal 22,500 SF Lot, and it sits next to a 1.17 acre lot that was just created through a lot line adjustment process with the City of Portland! Seller wants to sell both as a package. Land planning has been carefully thought out to provide a 28-foot-wide flag to SW Canby Street. Utilities are available and can be brought in when you build. Garden, recreate, develop into Middle Housing, or create 1 to 2 homes and enjoy the peace of this beautiful district, which is highly desired. Good seller potential, ADU options, and multi-Gen opportunity too! Call the Broker for maps and additional information. Please do not drive onto the land without an appointment! Property Taxes are approximate until County adjustments are made. These lots sit directly South and behind 6140 SW Canby Street, which is also owned by the seller.
Take SW Olesen to SW Canby
Dwelling Type: Land
Subdivision: N/A
Year Built: N/A, County: US
Take SW Olesen to SW Canby
Listing is courtesy of MORE Realty