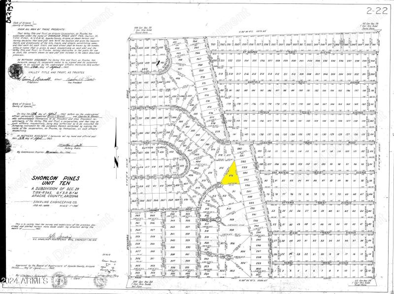
NORTHERN ARIZONA!! 3.27 ACRES LOCATED OUTSIDE CONCHO, WITH JUST A SHORT DRIVE TO SHOW LOW. POWER CLOSE BY. LOCATED IN AN AREA WITH JUST A FEW HOMES. ENJOY THE WIDE OPEN SPACE. APPX 6400 FT ELEVATION. ZONED ''AG''. APACHE COUNTY APN 201-04-376.**BUYER TO VERIFY SCHOOLS, ZONING / USE , UTILITIES, ACCESS & ALL PERTINENT INFORMATION**SELLER MAY CARRY** DIRECTIONS: AZ HWY 61/CR 8235- NORTH ON CR 8235 FOR 8 MILES, EAST ON CR 8294, NORTH ON CR 8296, FOLLOW NE TO END OF RD & SW CORNER OF PARCEL. DO NOT USE ADDRESS TO LOCATE, MUST USE AERIAL MAPS & GPS COORD 34.408887, 109.823718.
N ON CR 8235 FOR 8 M, E ON CR 8294, N ON CR 8296, FOLLOW NE TO END OF RD & SW CORNER OF PARCEL. DONT USE ADDRESS TO LOCATE, USE AERIAL MAPS & GPS COORD 34.408887, 109.823718.
Dwelling Type: Land
Subdivision: SHOW LOW PINES UNIT 10
Year Built: N/A, County: N/A
N ON CR 8235 FOR 8 M, E ON CR 8294, N ON CR 8296, FOLLOW NE TO END OF RD & SW CORNER OF PARCEL. DONT USE ADDRESS TO LOCATE, USE AERIAL MAPS & GPS COORD 34.408887, 109.823718.
Listing is courtesy of Arizona Premier Realty Homes & Land, LLC