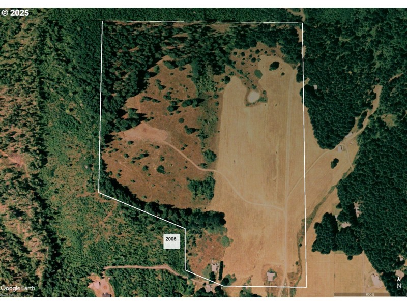
Sheffler Farm and Forest is 78± acres of level to gently sloping south facing pasture and timber land. Such a perfect mix of wide-open views and a canopy of trees along with seasonal streams and a pond. There is so much usable ground here, whether you're looking for somewhere to ride horses and ATV's, graze cattle & other farm animals, grow crops, or just a place to hike and play Chuckit with the dogs, this is it! Conveniently located just far enough from town to create that country feel but close enough to get to Eugene in about 25 minutes and Veneta in only 10. The coastal town of Florence is less than an hour away and Triangle Lake, one of the warmest lakes around, is a quick 20 minutes. The EUG Airport is approximately 15 miles to the southeast and for those who enjoy archery shooting, the Cascadian Bowman is a 5-minute drive. Between the Bellpine and Dupee soils with the southern sun exposure, this property could make a fabulous location for a vineyard and winery. There is a leveled area beside the pond that overlooks the ~27 acres of field and surrounding mountains that would make a great location to setup your wine tasting room. Not into grapes? No problem! There are plenty of other agricultural options for a property like this. There is a tear-down residence built in 1950 along with sheds and a barn. A new well was drilled on 10/07/24 at 165' deep and 8gpm. Approximately 15± acres were logged around 2005-2006. It appears from aerial images and calculations that about 42± acres were replanted in 2015± with Doug-fir. The property is surrounded by private landowners to the east, south and west with Sierra Pacific Land & Timber to the North. More information is available including maps, property records, interactive map and video. Reach out for the details and to schedule a showing. Shown by appointment only. No drive-bys please. Buyer to do their own due diligence regarding residential use.
In between 1.5 & 1-mile markers on the north side of the road.
Dwelling Type: Land
Subdivision: N/A
Year Built: N/A, County: US
In between 1.5 & 1-mile markers on the north side of the road.
Listing is courtesy of Made Out West Land Company, LLC