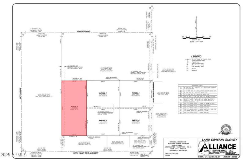
Perfect custom home site.
Extremely flat, buildable lot.
Power very close by, approximately 650' (0.1 miles) to the north.
Recently surveyed. A total of 24 contiguous acres available, all or part. Perfect for equestrian estate or large acreage compound. Extremely competitively priced! This deal won't last.
Dwelling Type: Land
Subdivision: N/A
Year Built: N/A, County: N/A
Listing is courtesy of Insight Land & Investments