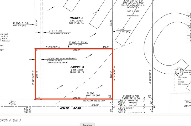
****This is the southern 1.441 AC of Parent Parcel. Property is in final stages of Minor Land Division.****.
Parcel 3 of Survey recorded 2025-034003 at Pinal County Recorder. Really nice useable lot in a quiet part of Hidden Valley in rural Maricopa! Excellent access, with easy drive back to Warren Road from multiple roads. Level property, with nice views of surrounding mountains. Power is just 310' feet away at Oak! One of the best priced lots for quality property in the area, , and the seller will consider carryback with a good down payment. People are figuring out what a value Maricopa is, and the sale of land has only increased. More homes are being built, and it is getting harder to find good values like this! ****New split so taxes are estimated***
From Maricopa, South on Hwy 347 to Papago, South on Warren to Sotol, East to Oak, S. to Agate...property is 2nd from the corner to east on north Side of Agate.
Dwelling Type: Land
Subdivision: Hidden Valley Estates Unit 1 Parcel 3 of MLD recorded 2025-034003
Year Built: N/A, County: N/A
From Maricopa, South on Hwy 347 to Papago, South on Warren to Sotol, East to Oak, S. to Agate...property is 2nd from the corner to east on north Side of Agate.
Listing is courtesy of Just Land Consultants