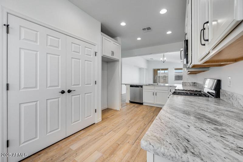
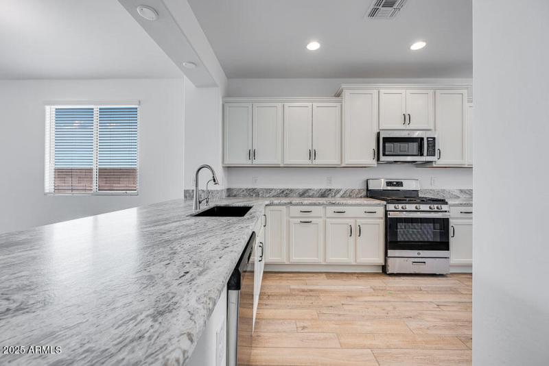
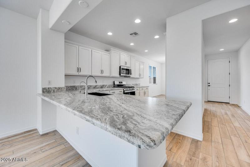
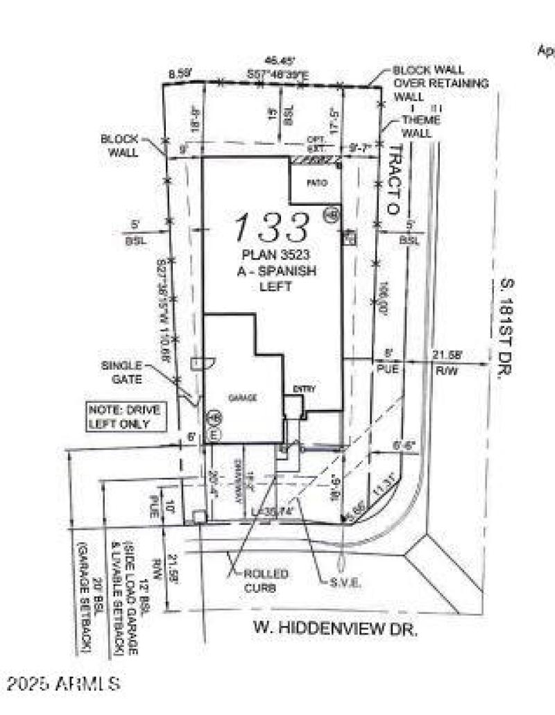
New Construction - Ready Now. Built by America's Most Trusted Homebuilder. Welcome to The Lily at 18153 W Hiddenview Drive in CantaMia features a bright, open layout that's both stylish and functional. Find a new adventure at CantaMia at Estrella, a 55+ haven in Goodyear, AZ, where making friends and becoming part of a vibrant community comes naturally. The thoughtfully designed single-story homes feature luxurious primary suites, expansive entertaining areas, stunning kitchens, and inviting outdoor living spaces—perfect for enjoying the serene winter months. Step outside and discover even more reasons to love life in Goodyear. The community clubhouse offers the ideal setting for meeting up with neighbors, while the nearby lake invites you to enjoy a peaceful walk or a leisurely picnic. Take a refreshing dip in the shimmering pool, stay fit at the fully equipped fitness center, or join a friendly game of pickleball with new friends. Your new home awaits you! Living and dining areas are arranged along one side of the home, while the bedrooms and study offer a sense of quiet separation on the other. The spacious owner's suite is tucked at the back for added privacy and includes a walk-in closet and an oversized shower. Additional Highlights Include: Extended Covered Outdoor Living. Photos are for Representative Purposes Only. MLS#6877821
Take I-10 East to Estrella Parkway exit. Go South on Estrella Parkway 14 miles to the CantaMia entrance on the right.
Dwelling Type: Residential
Subdivision: CantaMia at Estrella
Year Built: 2025, County: N/A
Take I-10 East to Estrella Parkway exit. Go South on Estrella Parkway 14 miles to the CantaMia entrance on the right.
Listing is courtesy of AV Homes