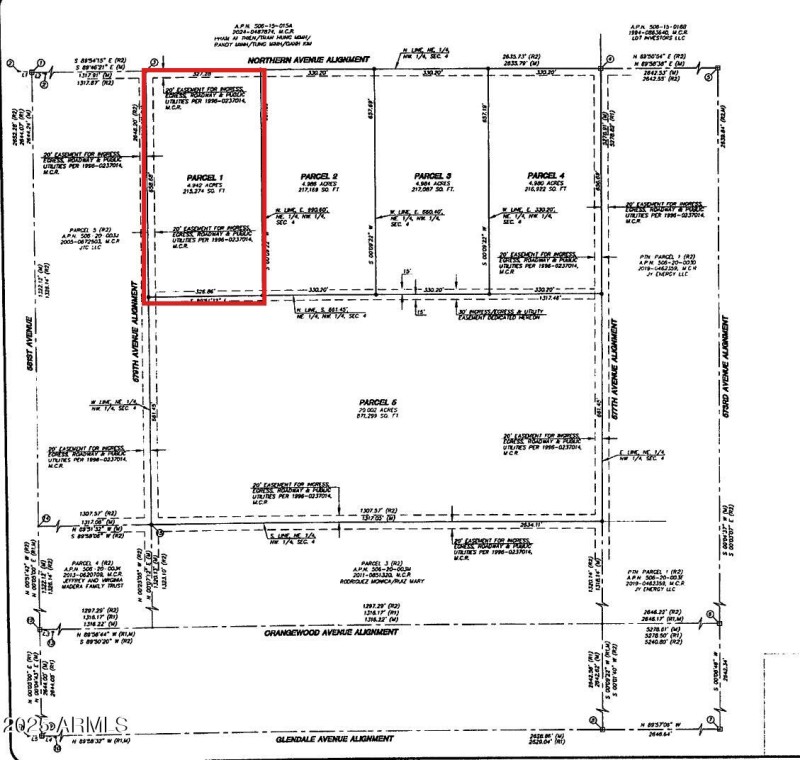
Imagine staking your claim on 4.94 acre piece of raw desert just east of Aguila Road along Northern Avenue. This awesome piece of land offers sweeping horizons, starlit nights, and the freedom to create a cozy ranchette—complete with solar-powered tiny homes, pasture space, or whatever off-grid dream you dare to build. With easy road frontage roughly 1,300 feet from Aguila Road, you'll have straightforward access today and the promise of future infrastructure growth. As farmland and developable acreage vanish, this tract stands out as a rare investment in land that can never be reproduced. Secure your slice of Arizona's next frontier with flexible financing available at just 25% down, and watch your vision—and your equity—take root in the soil.
Copy and past the following coordinates for directions: 33.549798 , -113.293955
Dwelling Type: Land
Subdivision: N/A
Year Built: N/A, County: N/A
Copy and past the following coordinates for directions: 33.549798 , -113.293955
Listing is courtesy of HomeSmart