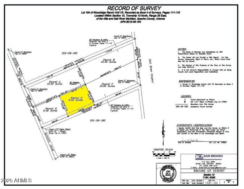
NORTHERN ARIZONA LAND! 5 ACRES LOCATED NORTH OF CONCHO. JUST A COUPLE OF MILES FROM THE HIGHWAY WITH PLENTY OF ROADS IN THE AREA FOR EXPLORING. PERFECT FOR OFF-GRID OR RECREATIONAL USE. APPX 5800 FT ELEVATION. ZONED AG. DIRECTIONS & LISTING FOR THE 5 ACRE PORTION OF APACHE COUNTY PARENT PARCEL 212-59-194, REFERRED TO AS PARCEL ''D'' ON SURVEY.*SELLER MAY CARRY*BUYER TO VERIFY SCHOOLS, ZONING/USE , UTILITIES, ACCESS & ALL PERTINENT INFORMATION* DIRECTIONS: AZ HWY 180A/CR N5323 (JUST SOUTH OF MP 350)- WEST THEN SOUTH ON N5323 JUST UNDER 1.25 MILES, WEST THEN NORTH ON N5576 1/3 MILE. PARCEL APPX 525 FT TO THE EAST. ROAD NOT CUT-IN LAST 525 FT. DO NOT USE ADDRESS TO LOCATE, MUST USE AERIAL/COUNTY GIS MAPS & GPS COORD 34.523434, -109.637989.
WEST THEN SOUTH ON N5323 JUST UNDER 1.25 MILES, WEST THEN NORTH ON N5576 1/3 MILE. PARCEL APPX 525 FT TO THE EAST. ROAD NOT CUT IN LAST 525 FT. DO NOT USE ADDRESS TO LOCATE, MUST USE AERIAL/COUNTY GIS MAPS & GPS COORD 34.523434, -109.637989.
Dwelling Type: Land
Subdivision: WOODRIDGE RANCH UNIT 7
Year Built: N/A, County: N/A
WEST THEN SOUTH ON N5323 JUST UNDER 1.25 MILES, WEST THEN NORTH ON N5576 1/3 MILE. PARCEL APPX 525 FT TO THE EAST. ROAD NOT CUT IN LAST 525 FT. DO NOT USE ADDRESS TO LOCATE, MUST USE AERIAL/COUNTY GIS MAPS & GPS COORD 34.523434, -109.637989.
Listing is courtesy of Arizona Premier Realty Homes & Land, LLC