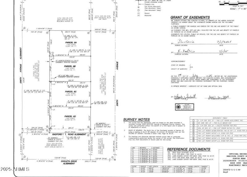
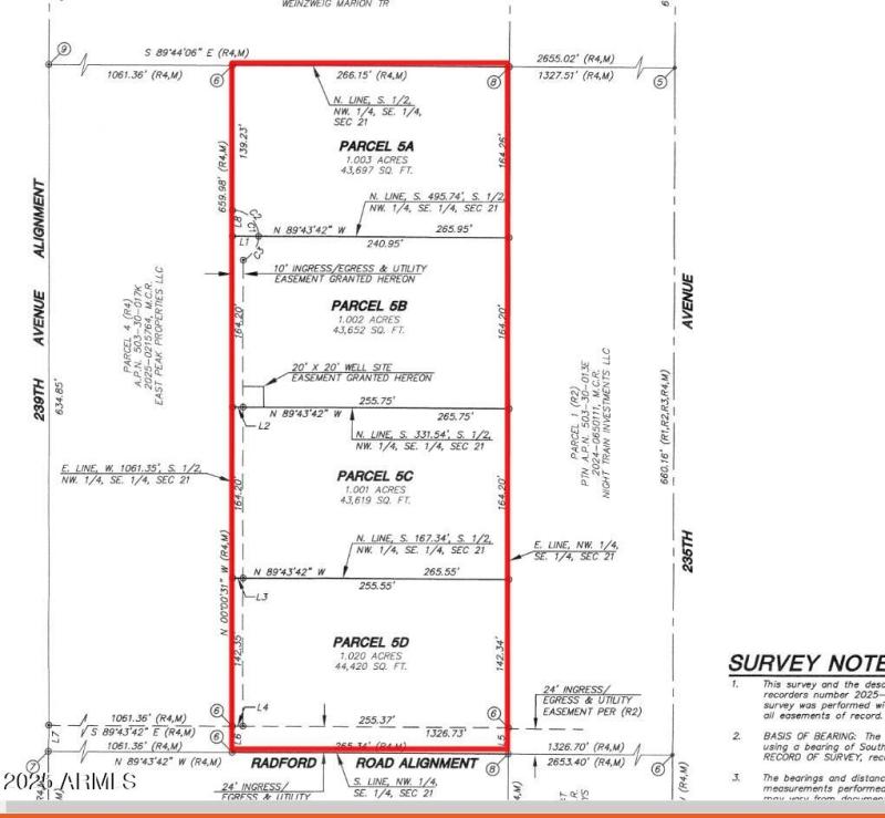
Nice flat 4 Acres already surveyed into 4 lots in a rapidly developing area of Wittmann! Great opportunity to pick up a a builder setup. Well permitting is underway, so you will be buying a property with the water solution in place. Price includes the drilled well. Access into this area is really nice, with pavement for a good stretch of it, then a rocked road the rest of the way. This is a perfect setup to put up homes in this area! This is going to be a busy street with all of the plans in place for several developments; this property will be right in the middle of all of them! Survey attached in documents. Power currently at 235th Avenue. *Has been under grazing lease, so taxes will rise.* An owner of this property hold an AZ real estate License.
From Patton Road, North on 231st Avenue to Morning Vista; west to 235th and Radford, west 1/4 mile to The SEC of the property. Eventual driveway for the four lots will be on the west side of the property.
Dwelling Type: Land
Subdivision: N/A
Year Built: N/A, County: N/A
From Patton Road, North on 231st Avenue to Morning Vista; west to 235th and Radford, west 1/4 mile to The SEC of the property. Eventual driveway for the four lots will be on the west side of the property.
Listing is courtesy of Just Land Consultants