Lot 66 is new to the market and one of the first lots in the Mountain Terrace Enclave. This is a unique circle accessed through what is planned to be a lush landscaped, tree lined boulevard and small community park. All lots have Spectacular Views of Granite Mountain to the West and amazing City Light views. Ventura Ranch is the first Yavapai Approved County Subdivision in this area and promises to bring a new level of exceptional quality and living in the area! Included with each Lot is underground water, underground APS Electrical Lines as well as Underground Fiber Optic provided by MTE. The actual address is 10610 E Woven Gold Way. 
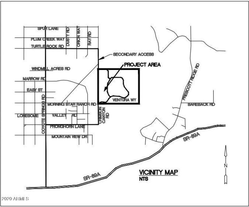
 AZ 89A, North on Coyote Springs Road Approx. 1.7 miles, Right on Pronghorn Lane 1.6 miles, left on Crimson Canyon for half mile to Ventura Ranch 
 
                                                        Dwelling Type: Land 
                            Subdivision: Ventura Ranch Homesites Phase I 
                            Year Built: N/A, County: N/A 
                            AZ 89A, North on Coyote Springs Road Approx. 1.7 miles, Right on Pronghorn Lane 1.6 miles, left on Crimson Canyon for half mile to Ventura Ranch
                        
Listing is courtesy of Ventura Realty